现在有好多4s店都贴打出出了零利息贷款的告示和易拉宝,那这个零利息贷款是真的吗?里面会不会有什么猫腻?我们今天就来解密4s店的零利息贷款是怎么回事。
办过车贷按揭的朋友,应该知道车贷流程怎么走。不过我们这里还是要再说一下。
第一步:确认贷款信息
你买的那个车型、车价是多少、能贷多少钱、做几年的贷款年限之类的。
第二步:准备资料
资料一般是身份证原件、结婚证或离婚证照片、半年整的银行流水(微信、支付宝的也可以)、社保记录或收入证明。
第三步:签署贷款合同
贷款合同的签署分为纸质合同与电子合同。一个是要在纸质合同上面写字画押,一个是在手机APP上面做人脸识别发验证码。
第四步:办理产权证抵押
在你提车上好牌照之后,要不产权证给银行办理抵押。等你还完贷款就还你。
等这些流程走完了,你的贷款也就办好。之后就是每个月的还款了。
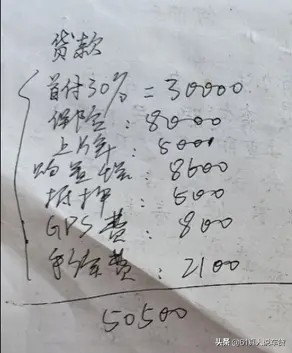
零利息贷款需要收的费用
如上图
这是我按10万车价,列的首付款单子。这上面贷款需要收的费用主要就手续费、GPS费、抵押费,其他的费用全款也是要付的。这个首付金额再加上7万的贷款金额,零利息贷款总共要付120500元。

银行和4s店是不会亏本的。尤其是4s店来说,你贷款买车的利润比全款买车的利润高多了,哪怕是零利息贷款。
零利息贷款其实是只针对买车的小伙伴的。对银行和4s店来说,就是正常的一个车贷。为什么这么说呢?我们一个一个分析。
先说银行
对银行来说,零利息贷款只是把贷款本金和贷款利息分开了。正常的车贷,是把利息和本金平均分到每个月里面,让客户慢慢还。而零利息贷款则是,贷款本金让客户一个月一个月的还,贷款利息让汽车厂家一次性付清。这样对银行来说,可以提前拿到贷款利息。
再说说4s店
对4s店来说,零利息贷款是汽车厂家一种促进汽车销售的手段。而且可以让更多的全款客户变成贷款客户,银行还是会把该打的贷款返佣打给4s店,增加4s店的整体收入。
最后说说汽车厂家
这里就会有人问了,那汽车厂家不就亏钱了?其实是不会的,汽车厂家虽然帮客户把贷款利息付给了银行,但是这个零利息贷款也增加了买车客户。举个简单的例子,汽车厂家正常的时候是一个车子赚1万,买车的客户有1万。现在零利息贷款一个车子只赚5000元,但是车子却卖了3万辆。这样整体也是赚钱的。
零利息贷款,对于喜欢贷款买车的小伙伴是实打实的优惠。对喜欢全款买车的客户来说是没有什么好处,而且还要多付个几千块钱,把产权证抵押给银行。
零利息贷款对于4s店、银行、厂家来说则是一个共赢的方案。即增加了业务又增加了收入。
我这里说的只是车贷问题的一小部分,如果大家还想了解其他车贷套路,可以关注私聊我。没准我还能成你的狗头军师。
61真人专门说车贷。
版权声明:我们致力于保护作者版权,注重分享,被刊用文章【汽车无息贷款(看车的时候)】因无法核实真实出处,未能及时与作者取得联系,或有版权异议的,请联系管理员,我们会立即处理! 部分文章是来自自研大数据AI进行生成,内容摘自(百度百科,百度知道,头条百科,中国民法典,刑法,牛津词典,新华词典,汉语词典,国家院校,科普平台)等数据,内容仅供学习参考,不准确地方联系删除处理!;
工作时间:8:00-18:00
客服电话
电子邮件
beimuxi@protonmail.com
扫码二维码
获取最新动态
